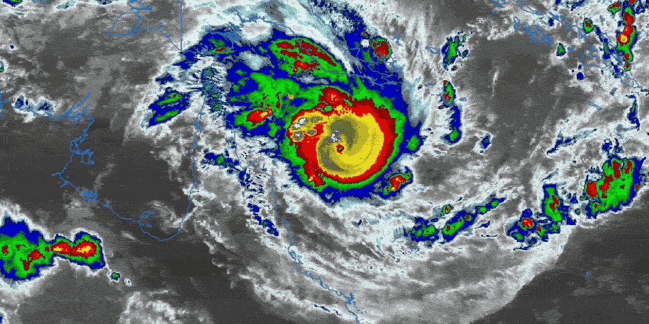
Intensifying Tropical Cyclone Narelle takes aim at Australia with destructive winds, flooding, and storm surge

Fox Weather3/19/2026

Summary

No summary yet.

Share:XRedditLinkedIn

Advertisement

Lindy Score Breakdown (V4.2)

4h
Age
1
Sources
from cluster
1
Hours Since Seen
Final Score12/100
CategoryAntiLindy
StatusActive
Recency Multiplier99% (0.5^1/48)
Hero EligibleYes

Score BreakdownRisk 70

Source Reputation: Low-trust source (4/20 pts)
Consensus: Single source - no independent confirmation yet
Age: Breaking news - too recent to assess longevity

Stories gain Lindy status through source reputation, network consensus, and time survival.

Related Stories

Breaking Similar stories

Anti-Lindy Similar stories